Inställningar för användare - Varannan rad med bakgrund

Winbas hjälp

Inställningar för användare

Genom att använda inställningarna för Varannan rad med bakgrund kan läsbarheten förbättras vid stora listor med många kolumner och rader. Varannan rad kommer då att sättas med bakgrundsfärg beroende på inställningar gjorda i kontrollpanelen med avseende på färger och teman som används.

Typer av listor

Söklistor

Söklistor visar t.ex. kunder, produkter och order. Använd inställningen speciellt om justering av bredd och höjd används på söklistor som då kan blir stora och ta mycket skärmutrymme i anspråk.

Skärmlistor

Skärmlistor avser listor som alltid visas i fönstret och direkt visar de förändringar som görs i det bakomliggande registret. Exempel på sådana fönster är Kontoplan eller Kunder - Statistik. Använd inställningen i synnerhet om dessa listor normalt är anpassade med många kolumner och öppnas som stora fönster på skärmen. Inställningen berör då även sökregister baserat på t.ex. Kontoplan vid val av konto i rutiner där konto registreras.

Informationslistor

Informationslistor är t.ex. de listor som visar produkten orderantal eller beställt antal i t.ex. Produkter eller Order / faktura.

Exempel

När inställningarna aktiveras bestäms storleken på listorna av olika inställningar andra och bakgrundsfärgen av operativsystem och inställningar för färger gjorda i kontrollpanelen.

 

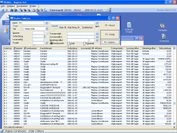
Söklista med inneliggande order öppnas från Order / faktura. Ett antal kolumner är invalda samtidigt som inställningarna Justera bredden till kolumner och Justera höjden efter antal rader för söklistor är aktiverade varför söklistan tar stor del av skärmutrymmet i anspråk när den visas. Windows XP med temat Standard blå används varför raderna tonas med en svag blå nyans.

 

 

Kunder - Statistik öppnas med Senast använda storlek och ett flertal kolumner invalda, samtidigt som inställningen Varannan rad med bakgrund är aktiverad för skärmlistor. Windows XP med temat Olivgrön används och raderna tonas med en svag olivgrön nyans.

 

 

Informationslistan Orderantal öppnas från Produkter med order och strukturer registrerade på den aktuella produkten. Ett antal kolumner är invalda samtidigt som inställningarna Justera bredden till kolumner och Justera höjden efter antal rader gäller för informationslistan. Klassiskt utseende används och raderna tonas med en svag grå nyans.

 


Relaterade artiklar: